リリィ・ビーチのオールインクルーシブ・プランにエクスカーションも含まれており、4つの中から3つ選べます。
<選べるエクスカーション>
コーラルガーデン・シュノーケリングツアー / フィッシングトリップ / サンセットクルーズ / ローカル島訪問
この日の午前中は、「コーラルガーデン・シュノーケリングツアー」の催行日だったので、前日レセプションへ申し込み、参加しました
シュノーケリングセットを持って、朝9時にレセプション集合
※シュノーケリングセットは無料、前日までにダイビングセンターで借りておく
続々と集まってきて、総勢15名ほど。
ボート桟橋へ移動。
桟橋から海を覗きこんだら、透明度の高い海と珊瑚が見えます。
ドーニ(船)に乗って、出発です
「ポイントには、約20分ほどで到着します」とガイドの案内。
シュノーケリング初心者には、シュノーケルやフィンの使い方などを説明していました。
大海原を航海

コーラル・ガーデンのポイントに到着
浅瀬のラグーンとドロップオフの境目(リーフエッジ)をシュノーケルします
行ってきまーす!
海に入ってすぐに、
うわぁーーー♪
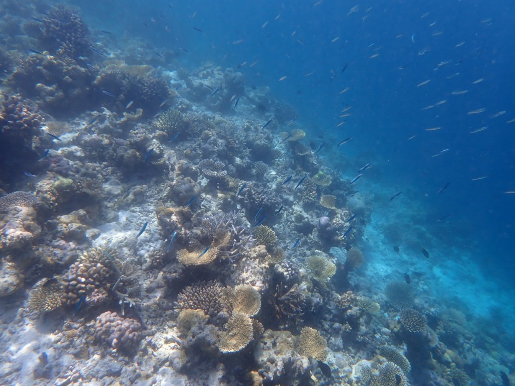
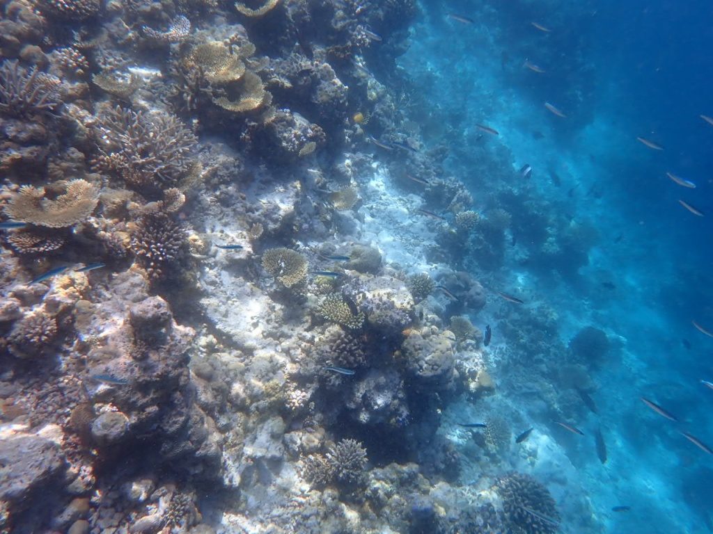
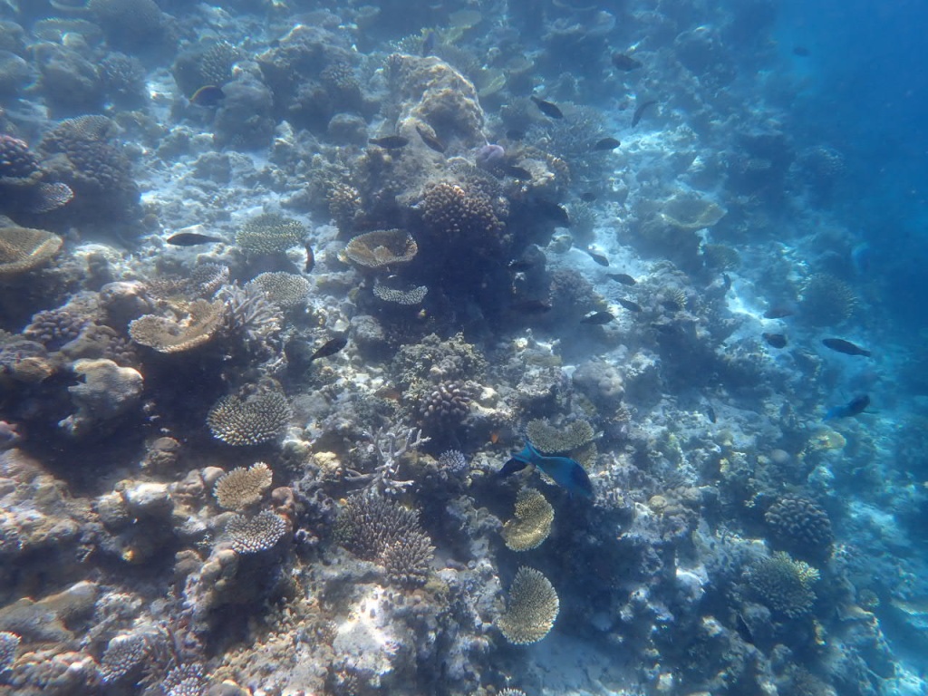
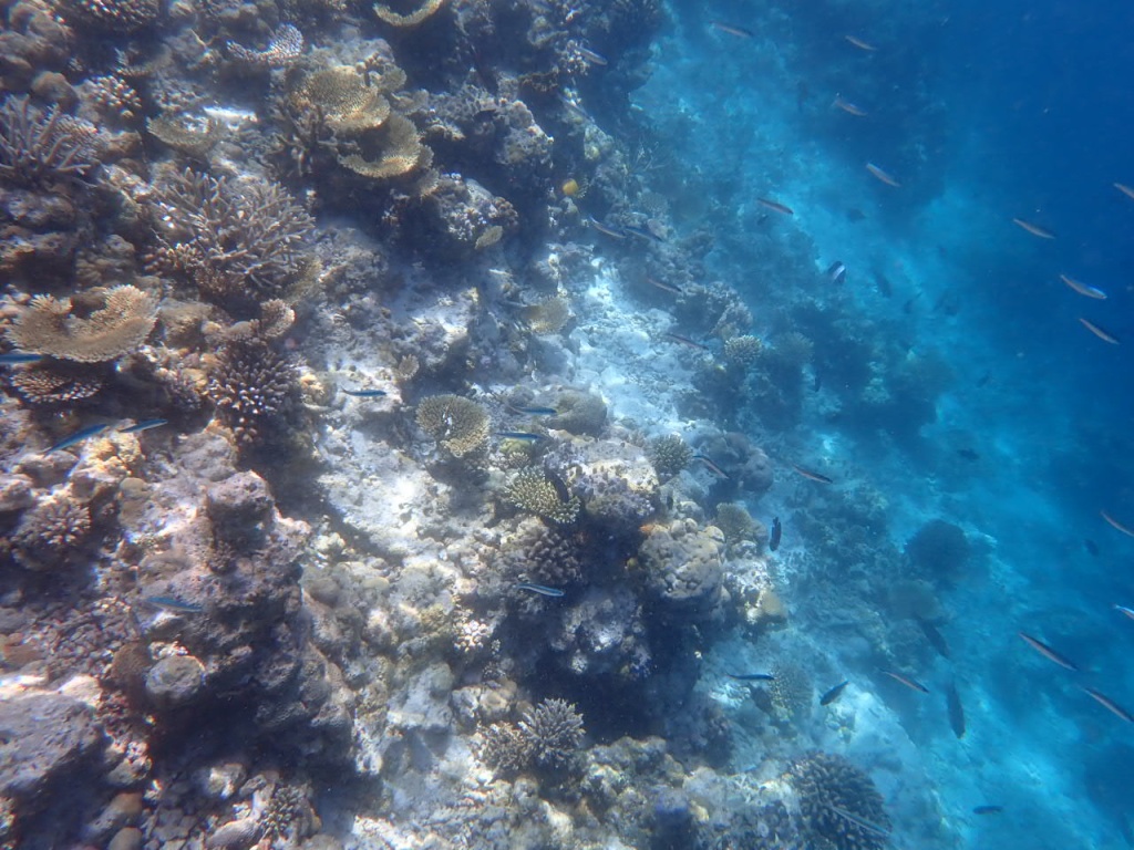
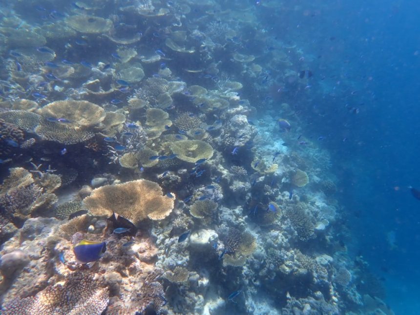
元気な珊瑚がたくさん!!


コーラル・ガーデンのギャラリーをお楽しみください
顔を水面に出してみたら、
透明度高い
あまり深くないので、太陽の光が水中まで届いてとてもきれい
魚もたくさんいます

サメ(ブラックチップ)が悠々と泳いできました
(穏やかな性格で人を襲うことはありません)



「コーラル・ガーデン」というだけあって、あちらこちらに珊瑚が咲いています




ガイドから「そろそろ、ボートに戻りましょう」と合図
1時間ほどのシュノーケリング、とっても楽しかった!

薄い青と濃い青の境目に珊瑚が密集
大満足のコーラル・ガーデン・シュノーケリングを終え、リゾートへ戻ってきました。
半水上タイプのラグーンヴィラ

ラグーンヴィラ前にも珊瑚が広がります
シュノーケリング用桟橋があるので、誰でもこの階段から降りて、このエリアでシュノーケルできます。
浅瀬なので、ラグーンヴィラ前は初心者にオススメのポイントです






















