コラコラ・モルディブ に滞在された「N&B様」より、旅行記をいただきました。
ご旅行時期:2025年11月(8泊)/ スリランカ航空利用(自分で手配) / ご参加形態:夫婦
リゾートチョイスのポイントは?
✅ハウスリーフが良い
✅オールインクルーシブ
✅美しいビーチ
今回のご滞在で心に残っているもの、人、景色、場所、体験などを教えて下さい
【リゾートの雰囲気】
インテリアや水上ヴィラの壁の絵や、ポップな色使いの明るい印象で、ファミリー、ハネムーナーとたくさんのゲストが訪れている人気のリゾートだなあと思いました。
【食事】
夕食は原則予約制で、アプリを通しても予約できます。
どのレストランも、美味しくいただきました。
<日本食レストラン>
私たちは、海外旅行では、なるべく現地のお料理や食材をいただきたいのですが、ラー環礁産キハダマグロのお刺身が食べることができると知り、日本食レストランを訪れました。
世界的に日本食が人気なのか、欧米からアジアまでたくさんのゲストで賑っていました。
キハダマグロのお刺身は期待通り美味しく、ハマチもいただき美味しかったのですが、聞いてみるとハマチは日本からの輸入だそうで、驚きました。
「美味しいよ」ということをスタッフに伝えると、日本人に言われるのがうれしいのか、とても喜んでくれました。
試しに〆ラーメンを一杯頼みましたが、これは改善の余地ありでした 笑
日本食レストランは一度しか行かなかったのですが、もう一回くらい行ってもよかったかなと思いました。
どのレストランも人気の時間帯は予約が埋まりやすいのと、特に日本食レストランは大人気だったので、行きたい方は早めに予約することをお勧めします。
<コーヒーショップ(MYCOFFEE)>
コラコラの特徴的な一つとして、コーヒーショップがあります。ラテやアイスティー、アイスクリーム、軽食などがいただけます。
レセプションの横にあり、帰りの水上飛行機待ちに利用したり、ゲームをしながらアイスを食べたりと、人気でした。
また、お部屋に備え付けのタンブラーを持っていくと、飲み物を入れてもらって持ち帰ることができます。このタンブラー、保温・冷ができる優れものでとっても便利です。タンブラーを持ち歩いている方もたくさんお見かけしました。
<飲み物>
ビール、ワイン、スパークリング、シャンパン、カクテル、ソフトドリンクと、種類もあり、十分満足でした。
ビールは、アジアや欧米の定番の銘柄、アサヒスーパードライもありました。
アイスコーヒーやアイスラテ、茶葉ごとのストレートアイスティーもあり、美味しくいただきました。
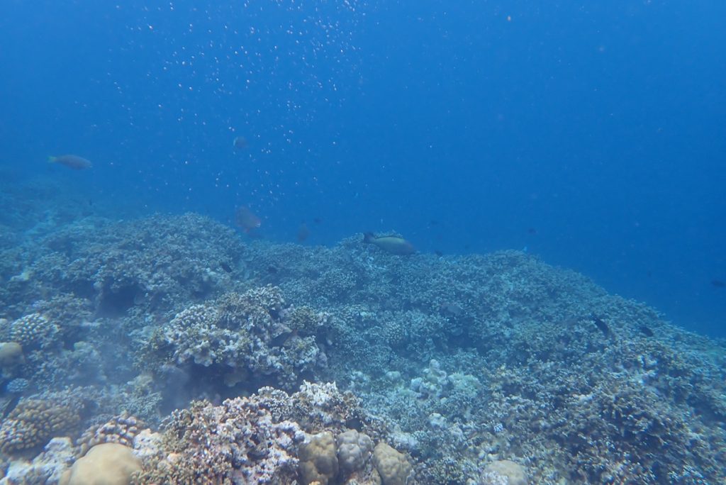
【ハウスリーフ】
コラコラは特別「ハウスリーフが良い島」として知られているわけではありませんが、楽しめました。
<メインリーフとして紹介されている島の南東側>
島内からヴィラ124と125の間からビーチへ抜ける道から入った先のドロップオフです。
私たちが滞在したときは午前中が満潮に近く、午後から日の入りの時間帯が干潮でした。
また、そのドロップオフの潮流は、午前中は沖へと強く流れていたので、午前中は避けて午後にしていました。
干潮時には水位が下がるので、ドロップオフ沿いの深みにあるニモハウスや他の魚も見やすくなります。
ドロップオフ手前の浅瀬にも、ニモハウスが点在していましたので、こちらはもっと見やすいし、写真も撮りやすいです。
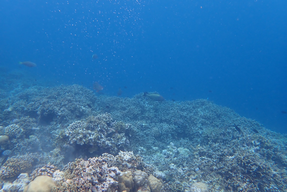
<水上スパ~メインレストラン前辺り~ビーチヴィラ110台辺り>
特にメインレストラン前辺りは、魚も多く、浅瀬なので近くに魚を見ることができてよかったです。
このエリアはかなり浅いので、満潮の午前中にしました。
満潮の時間帯なら、サンゴや岩礁にいる魚を適度な深さで見ることができました。
- モンガラカワハギ
- ムレハタタテダイ
こちらも浅い場所ですが、潮流が強く、流れに乗ればフィンキックせず、浮かんでいるだけでかなり進みます。
モルディブお馴染みの魚たち、メインレストランを過ぎた先(南側)にはギンガメアジの大群、波打ち際にはお馴染みのこいわし軍団も見れ、楽しかったです。
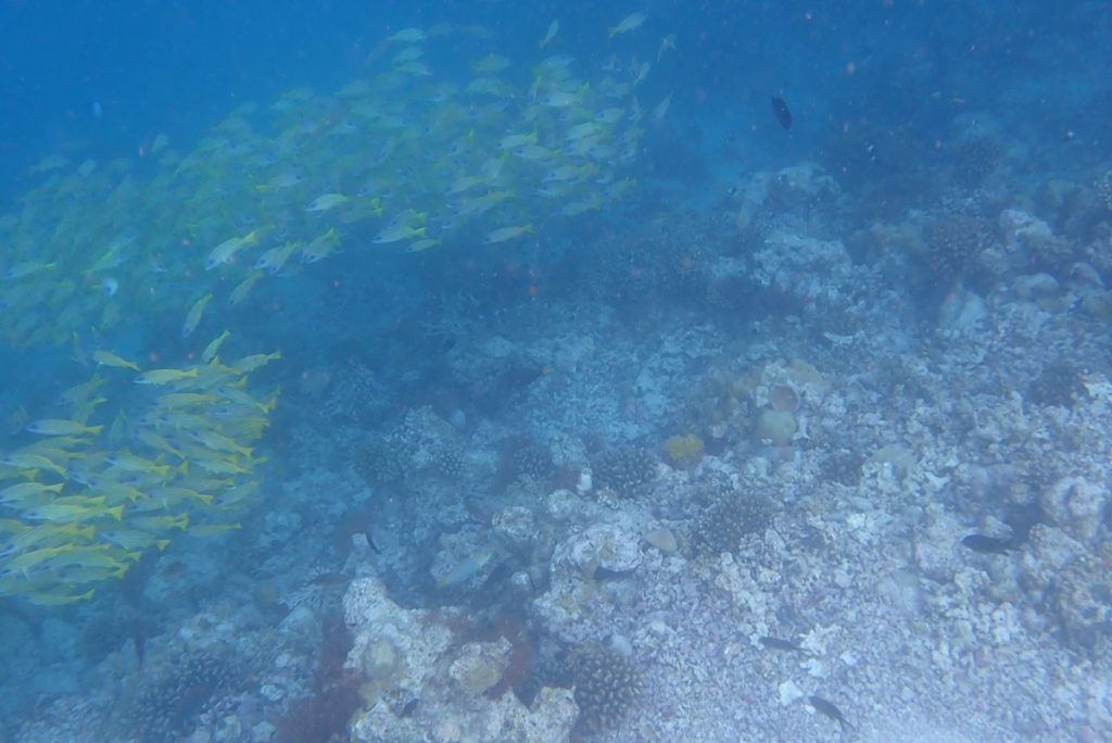
【スノーケリングツアー】
ブリュクシートラベルさんのご厚意で、ロングステイ特典として、スノーケリングツアー(Snorkeling Extravaganza)をつけていただき、参加しました。
このツアーでは、2か所のポイントに行きました。1か所目のポイントは、まさに魚影が濃いとはこのことかと思うくらい色とりどりの魚がたくさんいて、竜宮城に来たかのようでした。
顔がチクチクするくらいプランクトンが多く、透明度はあまりよくなかったのですが、思わず声をあげたくなるほどの魚影の濃さに興奮しました。今までのスノーケリングの中で、1,2位を争うくらい素晴らしかったです。
2か所目は、コラコラからも見える無人島横です。こちらはサンゴが広く発達していて、大きなパウダーブルーの群れ(LL玉?)、カメにも遭遇しました。
どちらのポイントも、それぞれあと1~2時間、じっくり泳いでいたかったです。
このような機会を設けていただいたブリュクシーさん、ありがとうございました。
【全体の感想】
カジュアル過ぎない雰囲気で、肩肘張らずリラックスして過ごすことができました。
曜日限定のテーマビュッフェだけでなく、好きなレストランでアラカルトメニューが選べたり、カフェに立ち寄って気軽に飲み物を頼んだりと、ダインアラウンド(Dine Around)システムが採用されており、お財布も気にせずストレスフリーで楽しめました。
- Acquapazzaのランチ
- 日本料理Teienの串焼き
顔見知りになったゲストと話したり、スタッフと片言のディヴェヒ語で挨拶したりと、モルディブのリゾートならではの交流もでき、楽しく過ごすことができました。
今回のご旅行の評価
| 非常に満足 | やや満足 | どちらとも言えない | やや不満 | 非常に不満 | |
| リゾートの雰囲気 | 〇 | ||||
| お部屋 | 〇 | ||||
| お食事 | 〇 | ||||
| サービス・ホスピタリティ | 〇 | ||||
| 航空会社 | 〇 |
ブリュクシー・スタッフから一言
N&B様、コラコラ・モルディブよりお帰りなさいませ。
ご滞在中の様子が生き生きと伝わってくる、とても読み応えのある旅行記をありがとうございます。
お天気にも恵まれ、オールインクルーシブでダインアラウンドのレストランや、コーヒーショップでのテイクアウト、スタッフや他のゲストとの交流も楽しまれたりと、リゾートライフを満喫いただけたことに安心いたしました。
特に、ロングステイ特典のスノーケリングツアーで体験された、思わず声をあげたくなるほどの魚影の濃さと、まるで竜宮城のような色彩の豊かさには、お写真を拝見した私たちも興奮してしまいました。何度もモルディブに滞在されているN&B様からの、今までのスノーケリングの中でもトップクラスの素晴らしさだったというご感想もうなずけます。
ハウスリーフでのスノーケリングも、潮流や潮位を見ながらポイントを選び、それぞれでしっかりと海を楽しまれたご様子も印象的でした。
これからコラコラに行かれる方やご検討中の方にとって、とても参考になるご感想だと思います。
この度はお忙しい中、素敵な旅行記とお写真をお寄せ下さいまして、誠にありがとうございました。
また次回の里帰り計画が立ちましたら、お気軽にお声掛けいただければ嬉しいです。N&B様がよりモルディブを楽しめるようなプランのご提案ができるよう努めます。今後ともどうぞよろしくお願い致します。
◇◆◇ Cora Cora ギャラリー ◇◆◇
コラコラでの思い出の一コマをお届けします
《一日の移り変わり》
《スノーケリングで出会った魚たち》
◆レストラン前ハウスリーフ◆
- レストラン前ハウスリーフ
- レストラン前ハウスリーフ
◆島南東側(コテージ124先)ハウスリーフのニモハウス◆
- 島南東側(コテージ124先)ハウスリーフ
- 島南東側(コテージ124先)ハウスリーフ
◆スノーケリングツアー(You&me付近)◆
◆スノーケリングツアー(Cora Cora前無人島リーフ)◆








































