ミライドゥ・モルディブ に滞在された「Wendy様」より、旅行記をいただきました。
今回のご旅行は2つのリゾートにご滞在(計12泊)、今回は2島目の『ミライドゥ』の旅行記をご紹介いたします。
ご旅行時期:2025年8月(7泊)/ シンガポール航空利用 / ご参加形態:夫婦
リゾートチョイスのポイントは?
✅ハウスリーフが良い
✅食事が美味しい
✅小さな島
✅プール付き水上ヴィラ
特に美味しかったレストラン、メニューは何ですか?
・Ocean Restaurant:夜の前菜のGambas Al Ajillo(エビのアヒージョ)は何度もリピートしました
・Ba’theli:クッキングクラスで作り、味わったロブスターカレー
- 何度も注文したエビのアヒージョ
- クッキングクラスで作ったロブスターカレー。最高でした!
持って行ってよかったものは?
これと言ってなく・・・逆に携帯ウォシュレットを持っていきましたが、ミライドゥのトイレにはウォシュレットがついていたため必要なかったです。
今回のご滞在で心に残っているもの、人、景色、場所、体験などを教えて下さい
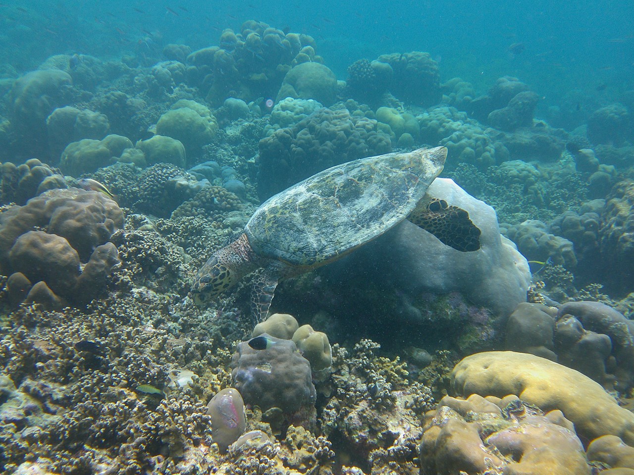
何度も出会えたウミガメ、流星群
今回のご旅行全体の感想・印象を教えて下さい
結婚25周年の銀婚旅行、後半はミライドゥに初訪問しました。前半のリゾート、ラッフルズを発ち国内線でガーフ・アリフ環礁からマレへ、さらに水上飛行機に乗り継ぎ到着です。
お部屋はサンセットがとても綺麗に見える西側の水上ヴィラ。広くて居心地の良い室内、水平線を望むデッキにはインフィニティプールやおしゃれなデイベッドにブランコ。雨季なのに雨はほぼ降らず、デッキからは綺麗なサンセットを毎日見ることができました。またシュノーケルの出発地点としても最高の場所でした。ウミガメがヴィラの近くまで寄ってきたのがデッキからはっきり見えたのも印象的でした。
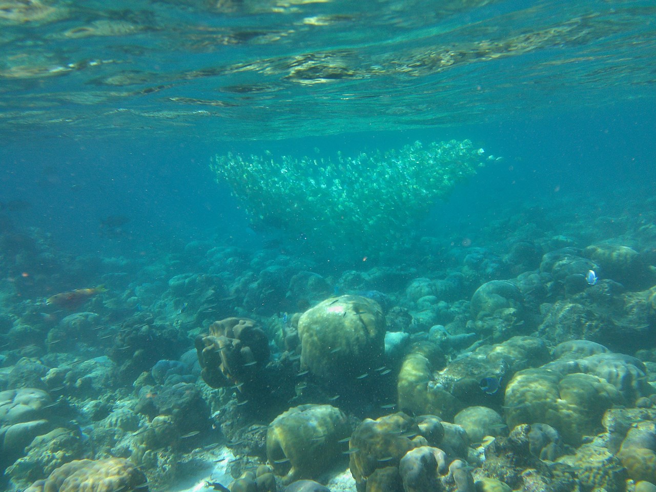
ハウスリーフは本当に魚が多く、色鮮やかで元気なサンゴも多く素晴らしかったです。ここでも1日に2回はシュノーケルに出かけました。毎回ウミガメに会えましたし、サメの群れやエイにも出会える「豊穣の海」です。ただ、気をつけるべき魚として名高い(?)ゴマモンガラにも頻繫に出会いました。ここのゴマモンガラはとにかくデカい!一度は気づかず彼の真上を通り過ぎてしまい、フィンに突撃されました。危なかった・・・。
- サメは時にはこんな近くにまで・・・
- ミライドゥのゴマモンガラは本当にビッグサイズです。
レストランはメインの「Ocean Restaurant」、船上の「Ba’theli」を利用しましたが、とにかく何もかもが美味しかったです。上に書いた以外だと、「Ocean」のミライドゥサラダ、ラムラック、ラムシャンクタジン、「Ba’theli」のNyama Choma(アフリカ風のステーキ)が心に残る逸品でした。
- ミライドゥサラダ。リゾートの名を冠してるご自慢のメニュー(?)とても美味しか ったです。
- ロブスターと白身魚のグリル
- ラムシャンクタジン。大粒のクスクスでお腹いっぱいになります。
- Nyama Choma(アフリカ風ステーキ)。岩塩の上にステーキが乗っています。
バトラーのYennyさん、「Ocean Restaurant」ウェイターのAlfieさん&Shiazさんの名コンビ、「Ba’theli」ではクッキングクラスでお世話になったシェフのSajiさん、ウェイターのNattu君(息子と同じ年で、雰囲気も似ててとってもcute)など、スタッフの皆さんは本当にフレンドリーでした。夜は本当に星が綺麗で、Ocean Restaurantから流れ星が何度も見えました。「やっぱりモルディブはすごいね!」と夫婦で話していましたが、ウェイターのAlfieに聞くと「流れ星なんてそんなに見ないよ!見えたら教えてよ」と言われ、調べたら流星群の時期だったみたいです(笑)すごくラッキーだったんですね。
有料エクスカーションはマンタツアーをお願いしました。ハニファルベイには多くのリゾートからダイバーやシュノーケラーが集まっていましたが、その中で悠々と泳ぐマンタの姿はやはり何度見ても感動を覚えます。
その他にもパッケージやブリュクシートラベルさんの特典で多くのエクスカーションを楽しむことができましたが、一番のお勧めはクッキングクラスです!Ba’theliのピカピカなオール電化のキッチン(木造船だから火が使えないんだそうです)で作るロシ、ガルディヤ、ロブスターカレーは絶品でした。
アニバーサリーのディナー、ベッドデコレーション、バスデコレーションも美しく、感動的でした。そして最後の夜のベッドデコレーション、船の造形が見事で取り除くのが本当に惜しかったです。
バトラーのYennyさんに「また来ます」って言ってきちゃいましたが(次に家族4人で来るときに備えてヴィラの下見までさせてもらいました)、あちこちで同じ気持ちになってしまう私たちはあと何回モルディブに行けばよいのでしょう?(笑)
今回のご旅行の評価
| 非常に満足 | やや満足 | どちらとも言えない | やや不満 | 非常に不満 | |
| リゾートの雰囲気 | 〇 | ||||
| お部屋 | 〇 | ||||
| お食事 | 〇 | ||||
| サービス・ホスピタリティ | 〇 | ||||
| 航空会社 | 〇 |
ブリュクシー・スタッフから一言
Wendy様、2週間の2島滞在モルディブ旅行より、お帰りなさいませ!
前回の旅行記では、手付かずの自然美と生き生きとした珊瑚をご堪能された「ラッフルズ・モルディブ」の思い出を美しいお写真と共に書き綴っていただきましたが、今回は2島目である「ミライドゥ」でのリゾートライフ。ラッフルズでのコロニアル調のビーチヴィラとは対照的に、ミライドゥではヴィラの前にハウスリーフが広がり、お部屋のサンデッキからは海ガメが泳いでいる姿もご覧いただけた最高のロケーションでの水上ヴィラを存分にご満喫いただけたようですね。1日2回のハウスリーフスノーケリングでは、海ガメだけでなくサメやエイ、魚の群れにも遭遇されたとのことで、珊瑚優勢のラッフルズとの違いも楽しんでいただけたことと思います。
お食事もどれも美味しかったとのこと、目にも美しいフードショットも一緒にお送りいただきましたので、ミライドゥをご検討中の方々にもお食事の素晴らしさが伝わったのではと思います。また、ご滞在中は流れ星もご覧になられ、雨季ならではのハニファルベイでのマンタとの遭遇、弊社のオリジナル特典や結婚25周年のアニバーサリーデコレーションも楽しんでいただき、旅行記を拝見している私たちまで笑顔が溢れてしまいました。Wendy様の特別なご旅行のお手伝いができたこと、心より光栄に思います。
今回は2回にわたり素敵な旅行記と素敵なお写真をお寄せいただきまして、誠に有難うございました。
次回、お子様とのモルディブ里帰り旅行もWendy様ファミリーにとって心に残る旅となりますよう精一杯努めますので、今後ともどうぞよろしくお願いいたします。
◇◆◇ Milaidhoo Maldives ギャラリー ◇◆◇
ミライドゥでのリゾートライフの一コマをお写真と共にご堪能下さい。
- アニバーサリーのケーキ。可愛い!
- アニバーサリーディナー前のサンセット。シャンパン付きです(笑)
- 水上ヴィラのデッキから見た夕日
- バトラーのYennyさん。モデル立ちが決まってます♡

































