モルディブのリゾート選びの条件としてよく目にする「ハウスリーフの良い島」。初めてモルディブ旅行を検討されている方には馴染のない言葉かもしれませんが、モルディブのリゾートでスノーケリングを存分に楽しまれたい方にとってはとても重要な要素です。
【モルディブでのスノーケリングでよく使われる用語】
◆ハウスリーフ:島の周辺に生息する珊瑚のことで、水上飛行機など上空からから見ると海が黒っぽく見えます。
◆ドロップオフ:海底が急に深くなる場所のことで、ドロップオフ周辺は特に魚影が濃く、小さなサメやエイなどとも遭遇できます。
◆パッセージ(チャネル):ラグーンから珊瑚群を抜けてドロップオフに出るために設けられている水路、切れ目
◆カレント:潮の流れのことで、その日の天候や風向きにより変化し、カレントが強い時は勝手に流されたり、泳いでも前に進めないことがあります。
モルディブの海は非常に豊かですので、ハウスリーフがないリゾートでも浅瀬でカラフルな魚やエイなどを見ることができます。ですが、ハウスリーフが良いリゾートに行くと、魚の数は段違いで、特に透明度の高い午前中(早朝~10時頃)のドロップオフ付近は海洋生物の宝庫。多くの魚に囲まれたり、自分を追い抜くように魚の群れが流れていったり、海ガメやエイ・サメなどと遭遇することも珍しくありません。ビーチまたは水上ヴィラからすぐの場所でこのような海中世界が見られるモルディブの環境は、まさに唯一無二なのです。
そんな『ハウスリーフの良い島』も、細かく言うと「珊瑚が素晴らしいリゾート」と「魚影の濃さが際立つリゾート」の2種類に分けられます。弊社ではこの2つの特徴に注目し、絶えず情報収集に努めています。
そこで今回の特集では、珊瑚派・魚影派という視点で弊社が自信を持ってお勧めできるリゾートをご紹介します。
★ハウスリーフの状態はどうやって調べたの!?★
1年に数回実施しているモルディブ視察で、スケジュールが許す限り、弊社スタッフが早朝と午後にスノーケリングを行い、珊瑚の状態・魚影の濃さをチェックしています。ですが、視察は1つのリゾートに長くても2日間しか滞在できず、天候や海況が悪い時は実施できないこともあるので、弊社のモルディブリピーターのお客様が実際スノーケリングを行い、ご提供いただいた情報やお写真も今回の特集に活用させていただきました。いつも詳細な情報をお送りいただき、心から感謝申し上げます。
★ 珊瑚が素晴らしいリゾート ★
カンドゥル・モルディブ(Kandolhu Maldives・アリ環礁)
《ハウスリーフ》
島1周取り囲むようにハウスリーフが広がり、一部エリアでは生き生きとした珊瑚が多数広がるコーラルガーデンも見られます。ドロップオフでは魚の群れはもちろんのこと、海ガメ数匹、小さなサメやマダラトビエイを見ることもできる竜宮城のような海中世界を満喫できます。
《リゾートの魅力》
● 部屋数30室のみ、静寂と自然美に溢れる隠れ家リゾート
● レストランは5箇所、味にも定評があり長期滞在でも飽きない食事
● マンタ・エクスカーションあり
★2026年宿泊特典は→こちら
- 2023年2月お客様撮影(by MK様)
- 2024年2月お客様撮影(by Kato様)
NHコレクション・モルディブ・ハヴォダ・リゾート(NH Collection Havodda・ガーフダール環礁)
《ハウスリーフ》
島1周取り囲むようにハウスリーフが広がり、特に島の北側エリアはビーチからドロップオフまでの距離が近く、様々な種類の珊瑚が生息します。ハヴォダの魅力は何といってもテーブル珊瑚の大きさと多さ。直径1m以上のものもありダイナミックな珊瑚と魚との共演がご覧いただけます。
《リゾートの魅力》
● 首都マーレから遠く離れ、周囲に建設中の島やローカル島が見えない圧巻の景色
● 美しいビーチと手付かずの自然に恵まれ、海の青さ・煌めきはモルディブでも屈指の美しさ
★2026年宿泊特典は→こちら
- 2024年9月視察時撮影
- 2024年9月視察時撮影
W・モルディブ(W Maldives・アリ環礁)
《ハウスリーフ》
島1周取り囲むようにハウスリーフが広がり、早い時期から珊瑚の復活が見られ、様々な種類の珊瑚が生息しています。また、魚影の濃さもピカイチで、ニモが多数見られるニモマンションやカラフルな魚の群れ、複数の海ガメなど、毎回様々な海洋生物と遭遇できるのも魅力です。
《リゾートの魅力》
● 2025年にリニューアルオープン、新たなコンテンポラリーデザインに一新
● 全室プール付き、特にサンデッキは寛ぎスペースが多くお洒落な造り
● マンタ・エクスカーションあり
★2026年宿泊特典は→こちら
- 2023年9月視察時撮影
- 2025年6月お客様撮影(by KM様)
リリィ・ビーチ・リゾート&スパ(Lily Beach Resort & Spa・アリ環礁)
《ハウスリーフ》
島1周をハウスリーフに囲まれており、特にプール付きデラックス水上ヴィラ周辺と島の南側はドロップオフが近く、折り重なるように続くテーブル珊瑚は圧巻そのもの。大きさではNHハヴォダに劣りますが、途切れることなく広がる様子はリリィビーチでしか見られないのでは?と思う程。珊瑚の絨毯を敷き詰めたかのような美しさは一見の価値ありです。
《リゾートの魅力》
● アクティビティなども含まれる充実のオールインクルーシブプラン
● お酒の種類が豊富で、約80種類のワイン&シャンパンもオールインクルーシブに含まれる
● マンタ / ジンベエ・エクスカーションあり
★2026年宿泊特典は→こちら
- 2025年9月視察時撮影
- 2025年9月視察時撮影
Vヴィラズ・モルディブ・アット・ミリヒ(V Villas Maldives at Mirihi・アリ環礁)
《ハウスリーフ》
島の北側~東側~南側にかけて広がるハウスリーフは、2016年のエルニーニョの影響で大打撃を受けましたが、ここ数年で水上ヴィラから数メートルの場所でもピキピキの珊瑚が見られるまでに復活が進んでいます。そして、ミリヒと言えば「パウダーブルー玉」。青と黄色の体を持つパウダーブルーサージョンフィッシュの群れとの遭遇率も高く、珊瑚と魚影との共演もお楽しみいただけます。
《リゾートの魅力》
● 2026年1月にリニューアルオープン、インテリアがエレガントに一新
● 部屋数42室のみ、静寂・自然美・上品を兼ね備えた大人のリゾート
● マンタ / ジンベエ・エクスカーションあり
★2026年宿泊特典は→こちら
- 2024年4月お客様撮影(by MM様)
- 2024年12月お客様撮影(by pbsf様)
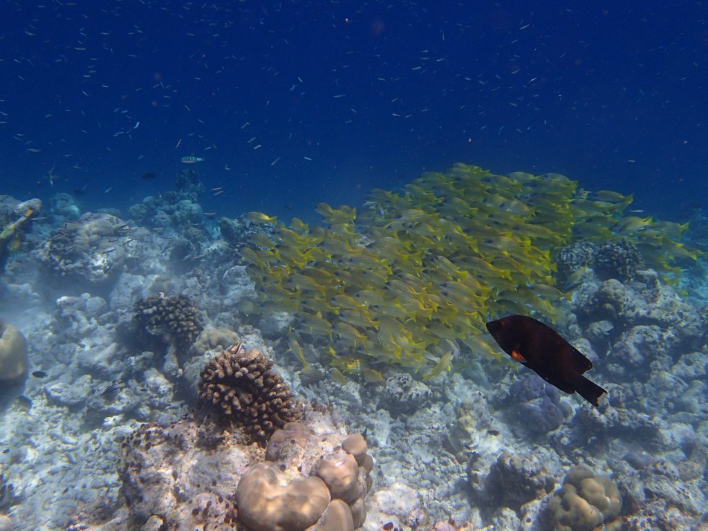
★ 魚影の濃さが際立つリゾート ★
ミライドゥ・モルディブ(Milaidhoo Maldives・バア環礁)
《ハウスリーフ》
外洋側に面した水上ヴィラ~東側のビーチヴィラに至るまで広範囲にハウスリーフが広がり、特に早朝から午前中は様々な魚の群れがドロップオフ周辺を流れるように泳いでいきます。海ガメや小さなサメ、マダラトビエイの群れなど様々な海洋生物との遭遇率も高く、群れに出会わない日はないと言っても過言ではありません。特にビーチヴィラ前~スパ前のハウスリーフがダイナミックです。
《リゾートの魅力》
● 部屋数50室のみ&全室プール付き、8歳以上のゲストのみが宿泊可能な大人ラグジュアリーリゾート
● レストランは4箇所あり、質の高い食事を味わえる
● ハニファルベイでのマンタ・エクスカーションあり(6~10月)
★2026年宿泊特典は→こちら
- 2023年3月視察時撮影
- 2023年3月視察時撮影
ディガリ・モルディブ(Dhigali Maldives・ラア環礁)
《ハウスリーフ》
干潮時に島の西側に現れる砂州以外のエリアは全てハウスリーフに囲まれており、特に島の南側(=水上ヴィラ側)のハウスリーフでは様々な魚の群れやニモの群れ(ニモハウスやニモマンション)が見られます。また魚影だけでなく珊瑚が美しい箇所もあり、魚影と珊瑚が入り混じる竜宮城のような海中世界を味わえます。
《リゾートの魅力》
● リゾートに到着してから出発するまで利用できるオールインクルーシブプラン
● 4つのレストラン・2つのバー・ピッツェリア・カフェが揃うバラエティ豊かな食事
● 島の西側に伸びる砂州を眺めながらのサンセット
★2026年宿泊特典は→こちら
- 2025年3月お客様撮影(by カーク様)
- 2025年3月お客様撮影(by カーク様)
フヴァフェンフシ(Huvafen Fushi・北マーレ環礁)
《ハウスリーフ》
島の西側(オーシャンバンガロー前)~南側にかけて広がるハウスリーフ。浅瀬でも魚は見られますが、ドロップオフまで行くとムレハタタテダイ、ブラックピラミッド、オヤビッチャなどモルディブを代表する魚の群れが花びらのように舞い散る姿が見られることも。お勧めは透明度の高い早朝~午前中にかけて。珊瑚はまだまだ復活途中ですが魚影の濃さはピカイチです。
《リゾートの魅力》
● 2023年にリニューアルオープン、白を基調としたシンプルモダンなインテリアに一新
● 部屋数46室のみ&全室プール付き、美しい自然・静けさ・エレガントさが調和する大人リゾート
● 水上スパには水中のトリートメントルームもある
★2026年宿泊特典は→こちら
- 2025年3月お客様撮影(by MK様)
- 2025年2月お客様撮影(by KM様)
デュシタニ・モルディブ(Dushit Thani Maldives・バア環礁)
《ハウスリーフ》
島1周取り囲むようにハウスリーフが広がり、特に島の東側にあるウォーターフロントプールヴィラ(半水上ヴィラ)はドロップオフが目の前に広がるので、部屋から数メートルで様々な魚の群れに出会えます。小魚が海中を覆ったかと思えば、ムレハタタテダイなどが舞い散ったり、大きな魚の群れが流れていったり、海ガメに遭遇したり、バラエティ豊かな海中世界が楽しめます。
《リゾートの魅力》
● 緑濃い自然に恵まれ、ジャングルのような島内を自転車で駆け巡る冒険気分を味わえる
● レストランは4箇所あり、繊細かつ上質な食事を味わえる
● ハニファルベイでのマンタ・エクスカーションあり(6~10月)
★2026年宿泊特典は→こちら
- 2025年9月視察時撮影
- 2025年9月視察時撮影
コモ・ココア・アイランド(Como Cocoa Island・南マーレ環礁)
《ハウスリーフ》
島の南側(水上ヴィラ側)と北側にハウスリーフが広がり、特に早朝~午前中にかけて、色とりどりの魚や、流れるような魚の群れ、海ガメやマダラトビエイなどがご覧いただけます。時期や日によって、南側と北側では魚の多さや種類、海の透明度が異なるので、片方のエリアがいまいちな時は、もう片方のエリアを試してみるというスノーケリングがお勧めです。
《リゾートの魅力》
● 部屋数33室のみ&全室水上ヴィラ、静かでナチュラルな雰囲気溢れる隠れ家リゾート
● 干潮時に島の東側に現れる長く伸びる砂州
● コモ・シャンバラの極上スパ&スパ用のオーガニックメニューも提供
★2026年宿泊特典は→こちら
- 2024年3月お客様撮影(by MK様)
- 2024年3月お客様撮影(by MK様)
モルディブでしか味わえない海中世界を存分に満喫されたい方は、是非上記のようなハウスリーフの良いリゾートをお選び下さい!




































