【リゾート特集】アナネア・マディヴァル・モルディブの魅力を深堀り!

モルディブリピーターを虜にするリゾートの宝庫「アリ環礁」に、2025年7月オープンした『アナネア・マディヴァル・モルディブ』。このリゾート名を聞いて、ピンときた方はかなりのモルディブ通です。

遡ること約20年前の2008年、「バンヤンツリー・マディヴァル」という名で誕生したリゾートは、1周5分程の小さな島にテントスタイルのヴィラが全6棟のみ、プライベートプールを囲むようにベッドルーム、リビングルーム、バスルームの3つのテントが立ち並ぶという唯一無二の個性派ラグジュアリーリゾートとして、多くのモルディブファンの心を鷲掴みにしました。そんなリゾートが2025年にドイツ資本の新リゾートとしてオープンするという情報を入手し、どんな風に生まれ変わるのか密かに注目していました。

そして先日「アナネア・マディヴァル・モルディブ」に視察で訪れる機会があり、様々な魅力に触れてまいりました。
今回の特集では、まだあまり知られていない「アナネア・マディヴァル・モルディブ」の魅力をいち早くお届けします。

《目次》
1.モルディブの自然美が集結
2.9つものレストラン! 別名フーディストパラダイス
3.極上のハウスリーフ
4.一番のお勧めはビーチヴィラ

ポイント① 👉 モルディブの自然美が集結

アナネア・マディヴァルは、モルディブでは数少ない「2島1リゾート」のスタイルをとっており、東側の島(通称イースト)と北側の島(通称ノース)の2つの島が桟橋で繋がれています。同じタイプのリゾート例としては、コンラッド・モルディブやサン・シヤム・オルヴェリなどが挙げられますが、アナネアの桟橋はそれほど長くはないので、お部屋からレストランなどへの移動に必ずカートが必要ということはなく、徒歩でも移動が可能です。

バンヤンツリー・マディヴァルの頃は、東側の島(上の地図の下側の島)のスパ部分しかない小さな島でしたが、人工的に島を拡張し、現在の2つの島に生まれ変わりました。人工的な島と聞くと木々が少なく緑が乏しいイメージを抱きますが、実際にアナネアを訪れ印象的だったのは、島内の道には様々な種類の木々が茂り、沢山の花が咲いていることでした。両脇に生えるヤシの木の間から見える青空と真っ白な道とのコントラストがとても美しく、朝の涼しい時間帯は、カートを使わずに歩いて朝食レストランへ向かいたいと思ったほどです。

2つの島が弧を描くように伸びる西側のビーチには、形よく伸びるヤシの木が生え、真っ白な砂の上にはヤシの木のシルエットが幾つもでき、島1番のフォトジェニックスポットになっています。

メインプールからの眺めも素晴らしく、均等に並ぶ白いパラソルとそれを映しこむプール、ヤシの木が程よい間隔で生え、その先にターコイズブルーのラグーンが広がる、そんな景色を眺めながらゆったり寛ぎたいと思う気持ちは皆同じようで、朝食の時間帯からビーチチェアに座るゲストの姿を見かけました。

波打ち際まで出てみると海の青さは更に際立ち、濃いブルーから薄いブルーへのグラデーションや白い砂浜とのコントラスト、弧を描くビーチが遠く先まで伸び水平線上に水上ヴィラが佇むという類まれない景色も、アナネア特有の美しさです。

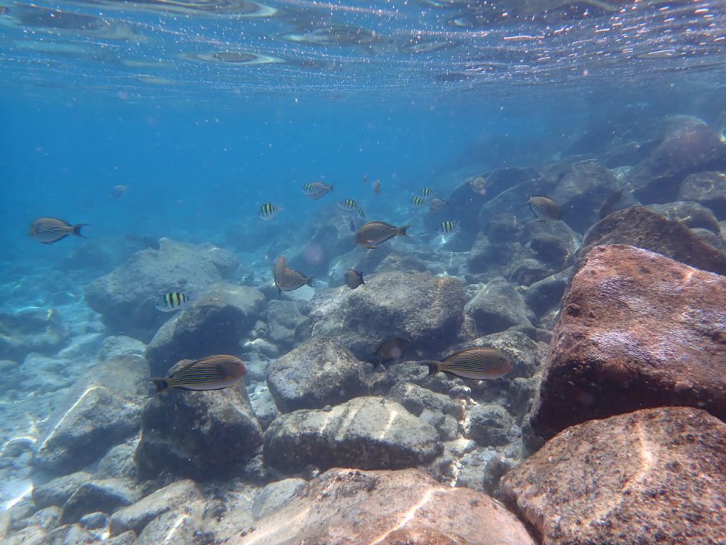
そんなラグーンの美しさが際立つアナネアですが、更に驚いたことは「ハウスリーフの豊かさ」でした。
ラグーンとは反対の東側の海には広範囲にドロップオフが広がり、非常に状態の良い枝珊瑚やテーブル珊瑚が群生しています。珊瑚の多さだけでなく、次から次と魚の群れがやってきて種類も豊富、ビーチから数mの所にある波除ブロック周辺ですら沢山の魚が群れていたので、シュノーケリング初心者から上級者まで幅広く楽しめる見応えのあるハウスリーフでした。

カラフルな花に彩られる自然、青のグラデーションが美しい遠浅ラグーンと長く伸びるビーチ、状態の良い珊瑚と魚影の濃さの両方を堪能できるハウスリーフ。アナネアでは、そんなモルディブらしい自然美をすべて味わうことができます。
ポイント② 👉 9箇所ものレストラン! 別名フーディストパラダイス

◎充実のダイニング

アナネア・マディヴァルは、別名『フーディストパラダイス(Foodist Paradise)』と呼ばれ、”食通の人々にとっての楽園” をコンセプトに掲げています。島内には9箇所ものレストランがあり食のバラエティが豊富、特に興味深いのが4つのレストランを有する「Asian Food Street」です。

  • ザ・ギャラリー(The Gallery)= インターナショナル料理(メインレストラン)
  • アジアンフード・ストリート(Asian Food Street)= アジア料理
    *カゲ(Kaage):モルディブ料理
    *バーンタレイ(Baan Talay):タイ料理
    *ソウルハウス(Seoul House):韓国料理
    *タマリンド(Tamarind):インド料理
  • ザ・フレームス(The Flames)= グリル料理
  • ルナ(Luna)= 地中海料理
  • フローレス(Flores)= 日本&ペルー料理
  • イキガイ(Ikigai)= 鉄板焼き

《アジアンフード・ストリートの4つのレストラン》

「Asian Food Street」内はフードコンプレックスのようになっており、雰囲気の異なる4つのレストランに分かれています。それぞれ日替わりでの営業となりますが、日本&ペルー料理の「Flores」、鉄板焼きの「Ikigai」を加えると、リゾート内には6つものアジア料理レストランが存在し、馴染みあるアジア料理があることで胃の負担の軽減にもなりますし、ロングスティの方にはビュッフェや西洋料理以外の選択肢が増え、食事に飽きることなく快適にお過ごしいただけます。
また、料理の盛り付け方もお洒落で、味だけでなく目でも楽しませてくれるので、女子旅や友人旅であれば、運ばれてくる料理の美しさにも話の花が咲くこと間違いなしです。

◎朝食は異なる雰囲気の2箇所で提供、朝シャンと共に…

島が2つに分かれているということもあり、朝食は東側の島にある「The Gallery」と北側の島にある「The Flames」の2箇所で提供されています。どちらの島に滞在していても両方のレストランをご利用いただけますので、今日はThe Galleryで、明日はThe Flamesで、といったシチュエーションの異なる朝食の楽しみ方も可能です。
「The Gallery」はビュッフェスタイルの朝食で、ガラスで仕切られた部屋に様々な料理が並べられています。

レストランからは美しいラグーンやヤシの木、時にはメインジェティに停泊する水上飛行機などが眺められ、これぞモルディブという開放感に満ち溢れたシチュエーションでの朝食をお楽しみいただけます。

「The Flames」はセミビュッフェ&アラカルト料理の両方からなるスタイルで、パンやチーズやサラダはビュッフェから、メインの料理はアラカルトメニューからお選びいただけます。このレストランは、長方形の建物が海に張り出すように建ち、両サイドをビーチに囲まれ、The Galleryよりも落ち着いた雰囲気ですので、静かな大人の朝食を味わいたい時にお勧めです。

もちろん、両レストラン共に朝シャン(シャンパン)のご用意があります。
その日の気分に合わせて異なるシチュエーションで優雅な朝食を味わえるのも、アナネアが提供する食の魅力です。

ポイント③ 👉 極上のハウスリーフ

アナネアでは、東側・北側それぞれの島でハウスリーフ・シュノーケリングが楽しめます。

◎東側の島(リゾートマップの下側の島)
スパ~2ベッドルーム・ビーチプールヴィラ(のお部屋)にかけてハウスリーフが広がり、2ベッドルーム・ビーチプールヴィラに宿泊していれば部屋前のビーチからアクセスができます。それ以外のヴィラに宿泊している場合は、スパ横のビーチからアクセスするのが一般的です。外洋側のウォータープールヴィラ(のお部屋)からもアクセスはできますが、少し距離があるので泳ぎ慣れていない人には少々困難です。

◎北側の島(リゾートマップの上側の島)
水上レストランLuna付近~デラックス・ビーチプールヴィラ(のお部屋)にかけてハウスリーフが広がり、デラックス・ビーチプールヴィラに宿泊していれば部屋前のビーチからアクセスができます。それ以外のヴィラに宿泊している場合は、水上レストランLuna付近のビーチからアクセスするのが一般的です。

📍下記リゾートマップに記したピンク色の矢印がシュノーケリングポイントです。

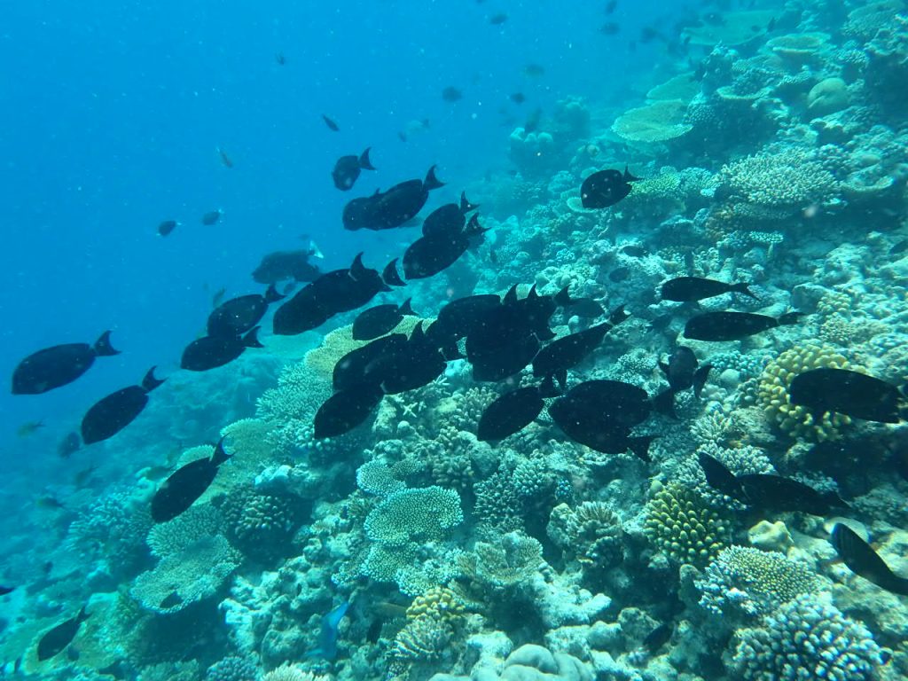
実際、上記2箇所のハウスリーフでシュノーケリングを行いましたが、見応えがあるのは「北側の島:Luna付近~デラックス・ビーチプールヴィラ前」のハウスリーフでした。東側の島は、視察時波が荒かったので全てを見ることはできませんでしたが、珊瑚の数・魚の数どちらを比較しても北側の島が群を抜いて良い印象でした。
北側の島のハウスリーフの良い点は主に3つ。1つ目はビーチからハウスリーフまでの距離が近いので、シュノーケリング初心者でもアクセスがしやすいことです。下記写真は、水上レストランLuna付近のビーチからエントリーした時のものです。干潮時だった為かなり先まで潮が引いていますが、満潮時はもう少し手前まで海が満ちています。

2つ目は、ビーチから数mの距離で生きた珊瑚が見られ、ドロップオフに近づくと珊瑚の森のような群生が広がっていることです。過去に起きたエルニーニョの影響で大打撃を受けた珊瑚が現在復活途中にあるというリゾートが多い中、アナネアでは生きた珊瑚が多数見られ、モルディブ本来の海の美しさを感じました。

そして3つ目は、美しい珊瑚だけでなく魚影の濃さも味わえることです。比較的魚が多いとされる朝の時間帯(7~8時頃)と午後の両方を試してみましたが、いずれも次から次と魚の群れが現れ、モルディブリピーターに人気のパウダーブルーサージョンフィッシュの群れにも遭遇しました。

海の透明度の高い午前中はハウスリーフでシュノーケリング三昧、午後は美しい遠浅ラグーンを眺めながらメインプールやバーでまったり過ごす、そんな楽しみ方をイメージされている方にはとてもお勧めのリゾートです。
ポイント④ 👉 一番のお勧めはビーチヴィラ

アナネアで一番安いヴィラは、ウォータープールヴィラです。またモルディブといえば水上ヴィラを希望される方も多くいらっしゃると思います。ですが弊社で一番お勧めのヴィラは、「デラックス・ビーチプールヴィラ」です。その理由は、お部屋からハウスリーフにアクセスしやすいこと、東側・北側どちらの島にあるレストラン&バーにもアクセスしやすいこと、そして広い屋外スペースに屋根があるのでいつでも快適に過ごせることです。

◎デラックス・ビーチプールヴィラ(240㎡/全20室)

北側の島のハウスリーフ側に位置するデラックス・ビーチプールヴィラは、邸宅のような門構えが特徴で、門の扉を開けるとヴィラへと続く屋外アプローチがあり、その先にヴィラの入り口があります。

《ヴィラの造りがわかるフロアープラン》
写真とフロアープランのベッドルーム&プールの位置関係は左右反対となっていますが、全体的な造りは同じです。
入り口を入ると小さなエントランススペースがあり、扉の先にベッドルームがあります。ベッドの後方にデスクがあり向かい合うようにミニバー、その更に奥にウォーキングクローゼットがあり、ご友人同士の滞在でも使い勝手の良い広さが魅力です。

ベッドルームは天井が高く、片方の壁際にはソファがあり、もう片方の壁はガラス張りになっていてプライベートプールと面しています。ソファは2m以上の長さがありますので、もう一台ベッドが必要な場合は、大人の方でもゆったり寛げるソファベッドに変えることができます。

バスルームも広く開放的で、ダブルシンクの洗面台、屋内シャワー、トイレ、バスタブ、バスタブの手前にドレッサーがあり、プールとは反対側の屋外にもう一つシャワーがあります。このバスルームには寝室からでも外のサンデッキからでもアクセスできるので、濡れた水着のままバスルームに行きたい場合は、寝室を通らずに外から直接入ることができ便利です。

屋外にあるプライベートプールは、寝室に沿うように造られているので、かなりの長さがあり、大人も子供も存分にプールを満喫できます。

外のサンデッキは、ベッドルームを出たところにソファと一人掛けのチェアが2脚、その先にソファとテーブルセットのある東屋があり、どちらも屋根付きですので、日中いつでも日差しを気にすることなくお寛ぎいただけます。

そして、東屋の先にはビーチチェアがありマイビーチが広がっています。外洋側に面しているので海には波除ブロックが築かれていますが、そのおかげでビーチの浸食がなく波も穏やか、満潮時になると防波堤がかなり隠れますので、景観もそれほど気になりません。波除ブロックの先には極上のハウスリーフが広がっていますので、ハウスリーフでのシュノーケリングにも最高の立地です。

「デラックス・ビーチプールヴィラ」の最大宿泊人数は、大人2名&子供2名(12歳未満) または 大人3名&子供1名で、ベッドが3台必要な場合は、ソファベッドに加え、もう1台エキストラベッドを入れることが可能です。
ですが、もし大人2名&12歳以上のお子様2名でご宿泊の場合は、「2ベッドルーム・ビーチプールヴィラ」がお勧めです。

◎2ベッドルーム・ビーチプールヴィラ(280㎡/全15室)

東側の島に15室もあり、1階にはベッドルーム・リビングルーム・バスルーム、2階にはベッドルーム・バスルームがあります。最大宿泊人数は、大人6名 または 大人4名&子供2名で、様々なファミリー形態への対応が可能です。但し、15室あるとは言え、比較的リーズナブルな料金が設定されており、欧米系ゲストに大人気のお部屋です。
もしこのヴィラをご希望の場合は、お早目に弊社へお問合せいただきます様お願いいたします。


アナネア・マディヴァルの知られざる魅力をご紹介しましたが、いかがでしたか。
今年はオープニング記念ということで、早期予約で食事アップグレード特典の設定もありますので、ご興味を持たれた方は、是非お早めにお問い合わせください!

◆アナネア・マディヴァル・モルディブの特典は→こちら

お問い合わせ・お見積りはこちら

 

関連記事

  1. モルディブ好きがオススメする・個性派リゾート2019

  2. 2度目のモルディブ ~ビーチヴィラに泊まる~

  3. 海の中でお食事!? ~水中レストラン、スパがあるリゾート~

  4. フェスティブシーズンのモルディブってどんな感じ!? ~ コンスタンス・ムーフシ編 ~

  5. 《あんなの☆こんなのベスト3》~フォトジェニックなラグーンが広がるリゾート5選~【続・楽園モルディブ2019】